Fasteignaleitin
Skráð 12. júní 2024

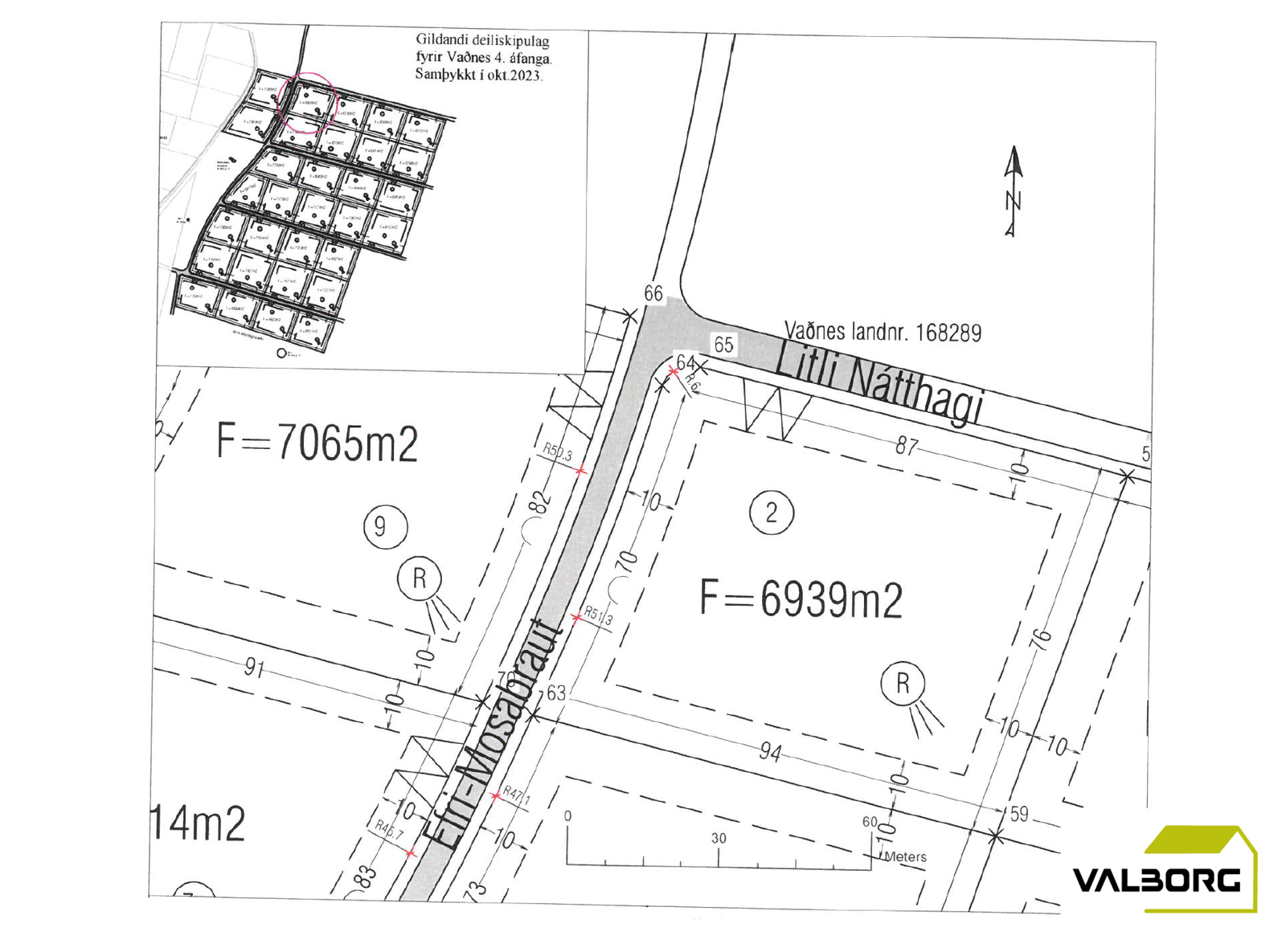
Vaðnes - LITLI-NÁTTHAGI 2

Jörð/LóðSuðurland/Selfoss-805
6,939 m2
Verð
8.000.000 kr.
Fermetraverð
1.153 kr./m2
Fasteignamat
4.100.000 kr.
Mynd af Gunnar Biering Agnarsson
Gunnar Biering Agnarsson
Löggiltur fasteignasali
Fasteignanúmer
2532425
Landnúmer
237257
Húsgerð
Jörð/Lóð
Vatnslagnir
Komið að lóðarmörkum
Raflagnir
Komið að lóðarmörkum
Lóðarréttindi
Eignarlóð
Upphitun
Komið að lóðarmörkum
Fyrirhugaðar framkvæmdir
Seljendur vekja athygli kaupanda á að sannreyna staðsetning hæla er marka lóðarmörk.
Kaupandi greiðir sjálfur öll tengigjöld þegar að því kemur og skal sjá um uppsetningu rotþróar í samræmi við gildandi reglur.
Frekari uppbygging er áætluð á svæðinu og hefur kaupandi verið upplýstur um þau áform og gerir ekki athugsemd við slíkt með undirritun á söluyfirlit þetta.
Kvöð / kvaðir
Kaupandi skuldbindur sig til að ganga í Félag landeigenda við Mosabraut, kt. 5512110880, sem haldið hefur utan um rekstur rafmagnshliðs, öryggismyndavéla, lagningu bundins slitlags á aðalvegina innan svæðisins o.fl. Tengiliður við félagið á kaupdegi lóðarinnar er Oddur Ólason (oddurola@gmail.com).
VALBORG fasteignasala kynnir í einkasölu sumarhúsalóð í landi Vaðness, LITLI-NÁTTHAGI 2, 805 Selfossi.
Lóðin er einkalóð, samtals 6.939 m2 að stærð samkvæmt skráningu Þjóðskrár Íslands.
Samkvæmt deiliskipulagi fyrir svæðið er heimilt að byggja 2 íveruhús (sumarhús og gestahús) og þar skal gestahús vera að hámarki 40 m2. Að auki er heimilt að byggja aukahús s.s. geymslu eða gróðurhús. Samkvæmt aðalskipulagi er nýtingarhlutfall lóðar 0.03.
Rafmagn, heitt og kalt vatn komið að lóðarmörkum.

Aðgengi að lóðinni er um Vaðnesbraut, Mosabraut og Efri-Mosabraut.

Sjá staðsetningu og skráningu fasteignaskrár HMS hér
Sjá deiliskipulag fyrir svæðið hér.
Upplýsingar um tengigjöld og fleira

Nánari upplýsingar veita:
Gunnar Biering Agnarsson, löggiltur fasteignasali, í síma 823-3300, tölvupóstur gunnar@valborgfs.is.
Fyrir skoðun hafið samband við Pál Helga í síma 840-2723 eða Guðjón í síma 864-3770.

Forsendur söluyfirlits:

Söluyfirlit er samið af fasteignasala í samræmi við ákvæði laga nr. 70/2015. Þær upplýsingar sem fram koma í söluyfirliti þessu eru sóttar í opinberar skrár, til seljanda sjálfs og eftir atvikum til húsfélags. Seljandi veitir upplýsingar um eign í samræmi við upplýsingaskyldu laga um fasteignakaup nr. 40/2002. Fasteignasali sannreynir að þær upplýsingar séu réttar með sjónskoðun á eigninni.  Fasteignasali getur ekki fullyrt um ástand og eiginleika þeirra hluta fasteigna sem ekki eru aðgengilegir og sjást ekki berum augum, t.d. lagnir, dren, skólp og þak.

Um skoðunar- og aðgæsluskyldu:
Í lögum um fasteignakaup nr. 40/2002 er kveðið á um ríka skoðunarskyldu kaupenda á fasteignum. Valborg ehf. fasteignasala bendir væntanlegum kaupendum á að kynna sér vel ástand fasteigna við skoðun og fyrir tilboðsgerð og ef þurfa þykir að leita til sérfræðinga um nánari ástandsskoðun.

Gjöld sem kaupandi þarf að standa straum af vegna kaupanna:
1. Stimpilgjald af kaupsamningi sem er hlutfall af fasteignamati. Stimpilgjald er 0,8% fyrir einstaklinga (0,4% við fyrstu kaup) og 1,6% fyrir lögaðila.
2. Þinglýsingargjald af kaupsamningi, veðskuldabréfum, veðleyfum o.fl. Þinglýsingargjald er kr. 2.700,- fyrir hvert skjal.
3. Lántökugjald lánastofnunar. Um lántökugjald vísast í gjaldskrá viðkomandi lánveitanda.
4. Umsýsluþóknun fasteignasölu skv. gjaldskrá.
5. Ef um nýbyggingu er að ræða greiðir kaupandi skipulagsgjald, 0,3% af brunabótamati, þegar það er lagt á.
Engin gögn fundust fyrir þessa eign

Myndir (11)

Sambærilegar eignir

Skoða eignina Mýrarbraut 1
Skoða eignina Mýrarbraut 1
Mýrarbraut 1
805 Selfoss
10,700 m2
Jörð/Lóð
1 þ.kr./m2
6.900.000 kr.
Skoða eignina Oddsholt 5
Skoða eignina Oddsholt 5
Oddsholt 5
805 Selfoss
Jörð/Lóð
6.500.000 kr.
Skoða eignina Maríuhólar 17
Skoða eignina Maríuhólar 17
Maríuhólar 17
803 Selfoss
Jörð/Lóð
14.900.000 kr.
Skoða eignina Hulduhólar 3
Skoða eignina Hulduhólar 3
Hulduhólar 3
803 Selfoss
Jörð/Lóð
9.500.000 kr.
Fasteignaleitin
Öflugur fasteignaleitarvefur með einföldu og notendavænu viðmóti sem býður upp á ítarlegar upplýsingar um fasteignir, þróun verðlags og fróðleik um fasteignamarkaðinn.
Hafðu samband
© Copyright 2026 - Fasteignaleitin